La merranderie, étape essentielle à la production des barriques de spiritueux – 1ère partie
En quoi consiste la production de merrains ? Chêne pédonculé, chêne sessile, chêne américain, gros grain, grain fin… quelle typicité de chêne choisir pour la production de spiritueux ? Nous faisons le point avec Merrain International, filiale de la société Independent Stave company, et l’une des plus grandes merranderies de France située dans les Vosges.
Chêne sessile et chêne pédonculé
Les chênes appartiennent à la famille des fagacées. Quelque 600 espèces de chênes sont connues au monde, dont 27 en Europe. Dans les forêts françaises, le chêne pédonculé (Quercus robur) et le chêne sessile (ou chêne rouvre, Quercus petrae) sont les plus importants au point de vue sylvicole. On les retrouve la plupart du temps en peuplement mélangé sur les mêmes parcelles, même si le chêne sessile est plus à l’aise sur des sols profonds et secs à frais et le chêne pédonculé sur les sols à eau stagnante et à humidité variable, comme les zones alluviales.
« Chêne sessile et chêne pédonculé se retrouvent la plupart du temps en peuplement mélangé sur les mêmes parcelles »
Espèce héliophile (c’est-à-dire qu’elle aime la lumière), la croissance des chênes varie énormément d’une région ou parcelle à l’autre. Dans les peuplements fermés des forêts de production, le chêne forme un houppier bombé qui apparaît en haut d’un long tronc souvent rectiligne, dépourvu de branches et recouvert d’une écorce gris-brun striée de longues fissures profondes et régulières. De tels chênes peuvent atteindre jusqu’à 40 m de haut, le chêne sessile atteignant des tailles supérieures au chêne pédonculé. Dans les parcs publics, les chênes sont moins hauts et ont un houppier plus large.
Les fabricants recherchent principalement des grumes droites et hautes qui répondent aux exigences de la fabrication de tonneaux. Les peuplements de chêne sont donc conduits sous futaie, pratique qui consiste à maintenir une concurrence en bas étage par des peuplements assez denses, obligeant ainsi les arbres à monter en hauteur pour rechercher de la lumière. Les chênes développent alors moins de branches latérales, lesquelles induisent la production de nœuds et dévalorisent la qualité des grumes. Un critère essentiel pour la fabrication des barriques.
Comment distinguer les deux espèces ?
Le moyen le plus sûr de distinguer ces deux espèces réside dans leurs fruits ou « glands » qui arrivent à maturité entre septembre et octobre. Chez le chêne pédonculé, un à trois glands cylindriques sont portés au bout d’un long pédoncule.. Chez le chêne sessile, c’est le contraire : les deux à six glands, un peu plus petits, sont disposés en grappe et fixés au rameau sans pédoncule.
Les feuilles diffèrent également. Chez le chêne pédonculé, elles sont portées par un pétiole assez court de 4 à 8 mm (ce qui relie la feuille à la branche), regroupées en amas ce qui les rend difficilement individualisables. Le pétiole de la feuille du chêne sessile mesure 13 à 17 mm. Les feuilles sont bien réparties sur les branches, ce qui les rend facilement individualisables. Encore faut-il pouvoir les atteindre pour les différentier.
Il existe aussi des variations au niveau de l’écorce. Celle du chêne pédonculé est plus épaisse et les stries plus profondes que celle du chêne sessile, plus fine et plus lisse.
Il est en pratique très difficile de différencier les deux espèces dans un peuplement par régénération naturelle. Les forestiers, les bûcherons et les acheteurs de bois ne sont pas toujours à même de faire la différence. C’est d’autant plus difficile que l’abattage des arbres a lieu en hiver lorsque les arbres sont défeuillés. Retenons aussi qu’à qualité égale, leur bois a les mêmes usages. Et que le chêne pédonculé est plus sensible au changement climatique que le chêne sessile.

@spiritsselection – Sessile ou pédonculé ? Difficile de trancher
Usages
Les grumes très droites et sans nœuds sont recherchées pour le tranchage. Dans un arbre, on peut trouver différentes qualités, de la partie basse du tronc (droit et sans branches) à sa partie haute. Il existe différents utilisateurs pour tout cela. Dans les normes françaises sur les grumes, les qualités de placage et de merrain sont référencées A, B1 & B2 ; les qualités de bois d’œuvre/sciage sont référencées C1 & C2 ; les qualités de menuiserie et de parquet sont référencées D.
En quoi consiste l’activité de merrandier ?
La merranderie est l’activité qui consiste à produire des merrains, c’est-à-dire des pièces de bois fendues et sciées selon des règles empiriques, à partir du tronc des chênes. Ces merrains servent à fabriquer les douelles, qui sont enfin assemblées pour former les parois du tonneau.
Cernes de croissance et fil du bois
Les grumes sont tronçonnées en billons d’une longueur correspondante à la longueur des douelles. Les billons sont ensuite fendus dans le droit fil du bois, dans le sens des rayons de l’arbre, en éliminant les parties contaminées : piqûres d’insectes, taches rouges (champignons), parties dégénérées du bois, galle traversante, cœur du billon… C’est essentiel pour garantir l’étanchéité de la barrique. Explication : « Comme le sang chez les animaux, la sève circule dans les arbres, allant des racines jusqu’au feuille et inversement. Elle transporte tous les nutriments indispensables à leur survie. La sève évolue dans des conduits situés juste sous l’écorce de l’arbre. Chaque année, lors de la pousse printanière, ces vaisseaux sont remplacés par des nouveaux, formant ainsi les cernes de croissance sur lesquelles on peut déterminer l’âge de l’arbre. Au courant du printemps et de l’été, la sève ascendante et descendante dépose tout le long de ces « vaisseaux » de la cellulose, de la lignine, des tanins et des précurseurs d’arômes, qui vont former le cœur du bois ou duramen.
« Ces vaisseaux ne sont pas parfaitement verticaux, mais suivent la forme du tronc. En sciant une grume de chêne français, on prendrait donc le risque de les trancher, et le résultat serait un bois poreux ; l’étanchéité de la barrique ne serait plus assurée. C’est pourquoi on fend les grumes, afin de suivre le fil du bois et les vaisseaux.
« La taille des grains correspond à l’épaisseur des cernes, ou anneaux de croissance »
A noter cependant que de petits « clapets » appelés tylose permettent d’assurer une certaine étanchéité si l’un des vaisseaux venait à traverser le merrain, mais ils sont trop peu nombreux pour garantir celle-ci dans le chêne français.
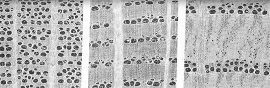
La taille des grains correspond à l’épaisseur des cernes, ou anneaux de croissance. On comprend donc que le chêne doit pousser très lentement pour que le grain soit fin : plus l’arbre pousse lentement, moins les cernes seront larges, et donc plus le grain sera fin.

@spiritsselection – Le mérandier vérifie la taille des grains

@independentstavecompany – Trois épaisseurs de grains
Gros grain et grain fin, une caractéristique d’espèce ?
Si le chêne pédonculé a tendance à croître plus rapidement, ce sont surtout les conditions de croissance qui déterminent la taille des grains : conditions pédologiques (richesse du sol), conditions climatiques (pluviométrie et températures annuelles) ayant prévalues durant la vie de l’arbre, pratiques sylvicoles (par exemple, peuplement dense ou peuplement ouvert, fonction des éclaircies réalisées) ou encore accidents climatiques sont autant de facteur déterminant pour la largeur des cernes.
« Les barriques de chêne français sont souvent constituées de douelles des deux sous espèces »
Le chêne pédonculé et le chêne sessile peuvent tous deux produire du grain fin, du grain très fin, ou au contraire du gros grain. Sur une même grume, on peut retrouver des grains fins, des grains moyens mais aussi des grains extrafins.
En résumé, les barriques de chêne français sont souvent constituées de douelles des deux sous espèces. Les merrandiers communiquent sur le grain, plutôt que sur le type de chêne. Ils peuvent néanmoins tenir compte de demandes spécifiques de clients souhaitant obtenir des barriques provenant d’une région particulière, avec une qualité de grain définie (par exemple, lot de merrain de la région parisienne à 70% de grain fin).


@Spiritsselection – Une grume de plus de 200 ans
Gros grain et grain fin – Comment le producteur de spiritueux opère-t-il son choix ?
Le producteur de spiritueux optera pour un type de grain en fonction du style de produit qu’il souhaite obtenir.
Pendant des décennies, le gros grain a été le plus utilisé dans le monde des spiritueux, héritage du cognac et de ses longs vieillissements. En effet le gros grain apportant plus de tanins, il permet de développer la structure. Mais il faut du temps pour que ces tanins s’assouplissent par micro-oxygénation. A présent, on découvre que le grain fin, réservé au monde du vin, permet de sortir des spiritueux élégants en préservant leurs arômes primaires. Le grain fin est intéressant pour des vieillissements plus courts.
« Le producteur de spiritueux optera pour un type de grain en fonction du style de produit qu’il souhaite obtenir. Le type de chauffe est également un critère essentiel, aux côtés du temps de maturation des merrains et du type de grain. »
Le type de chauffe est également un critère essentiel, aux côtés du temps de maturation des merrains et du type de grain. Chauffe forte sur grains fins, faible sur gros grains et inversement, les possibilités sont infinies. La chauffe est aussi le secret du tonnelier. Plus la chauffe est importante, plus les tanins sont dégradés et la palette aromatique change drastiquement en fonction de la durée et de la température des chauffes.
Quelle est la différence entre une barrique de chêne français et américain ?
Le chêne américain destiné à la production de barriques est issu de l’espèce Quercus Alba. Il pousse beaucoup plus vite et est exploitable dès l’âge de 80 ans. Il contient également moins de tanins que le chêne français et apporte des arômes du type « whisky-lactone», comme ceux de la noix de coco, du bois fraîchement coupé et de sous-bois. Le chêne américain est associé à des arômes exubérants comme le chocolat, le fumé, le caramel. Le chêne français quant à lui, est considéré plus fin, apportant des arômes de vanille et plus de tanins.
Les merrains de chêne blanc sont obtenus par sciage au lieu d’être fendus, car Les clapets ou « tyloses » (voir plus haut) présents dans les vaisseaux véhiculant la sève sont ici très nombreux. L’étanchéité des barriques est ainsi assurée. Cela constitue un énorme avantage au niveau du rendement par m³ de bois. Le prix d’une barrique de chêne américain est donc moins cher.